A haltelepítések időszakát éljük. Arról már korábban beszámoltunk, hogy Tiszakécskén a Holt-Tisza kettes és hármas holtágába ebben az évben már több alkalommal telepítettek pontyot, keszeget és aranykárászt, most pedig a tiszaugi holtágba került hal.
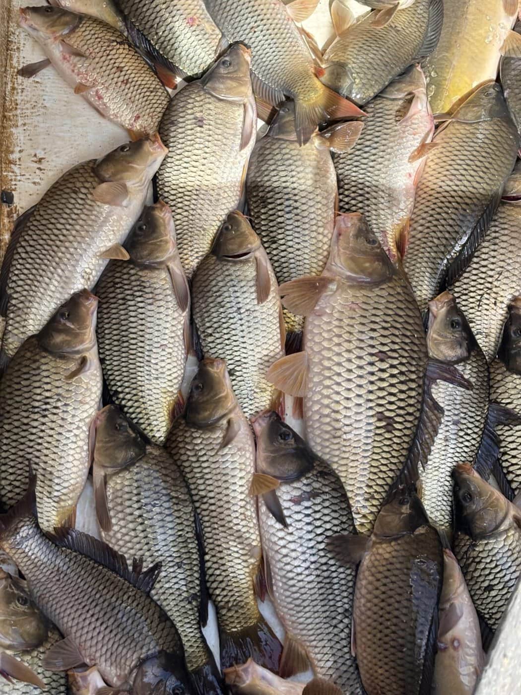
Március 14-én délben a település faluvégi holtág részén negyven mázsa három nyaras pontyot helyeztek a vízbe. Az 1,8-3 kiló súlyú pikkelyes és tükrös pontyok vegyesen kerültek a holtágba. A telepítésnél ott volt Madari Márton polgármester is, aki elmondta, hogy vízkezelővel (a Király és Társa Halászai Kft-vel, akik a tiszakécskei holtágakat is kezelik), együttműködve az önkormányzat is segítséget fog nyújtani a holtág fejlődése érdekében. Kitért itt a nagy problémát jelentő vízpótlás megoldására, ami a Tiszán kialakuló drasztikus vízhiány miatt, meglehetősen nehéz feladat. A holtág feltöltése várhatóan április végére megtörténik. A Király és Társa Halászati Kft. további telepítéseket jelentett be, ami várhatóan a tavalyi évi halmennyiség duplája, százötven mázsa keszeg és ponty lesz vegyesen.


